الإعصار المداري "ميتشل" تشتد قوته ويتجه نحو موانئ أسترالية هامة

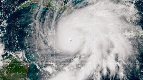
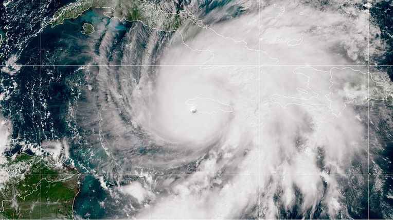
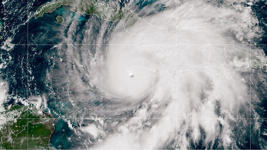
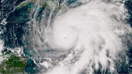
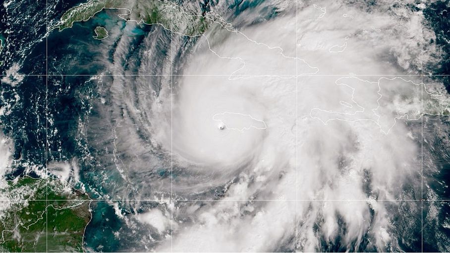
اشتدت قوة "ميتشل" ليتحول إلى إعصار من الفئة الثالثة مصحوبا برياح تصل سرعتها إلى 195 كيلومترا- جيتي
اشتدت قوة "ميتشل" ليتحول إلى إعصار من الفئة الثالثة مصحوبا برياح تصل سرعتها إلى 195 كيلومترا- جيتي
شارك الخبر
أكد مكتب الأرصاد الجوية في أستراليا أن الإعصار المداري "ميتشل" اشتدت قوته بينما يتجه نحو شمال غرب البلاد النائي، حيث يقع ميناء هيدلاند أكبر مركز لتصدير خام الحديد في العالم.

وأعلنت شركة موانئ بيلبارا إغلاق ميناء هيدلاند والموانئ المجاورة له أشبرتون وكيب بريستون ويست ودامبير وجزيرة فارانوس أمس السبت، مع اشتداد قوة ميتشل قبالة سواحل منطقة بيلبارا الغنية بالموارد في غرب أستراليا.

وذكر مكتب الأرصاد الجوية أن ميتشل اشتدت قوته ليتحول إلى إعصار من الفئة الثالثة مصحوبا برياح تصل سرعتها إلى 195 كيلومترا في الساعة، بحسب ما نقلت وكالة "روتيرز".

وأضاف المكتب أن العواصف من الفئة الثالثة، التي تقل بدرجتين عن الفئة الأشد قوة، عادة ما تجلب رياحا تلحق أضرارا بالمباني والمحاصيل والأشجار وتتسبب في انقطاع التيار الكهربائي.

اظهار أخبار متعلقة


وتوقع مكتب الأرصاد الجوية أن يصل الإعصار ميتشل إلى اليابسة بين مدينتي إكسموث وأونسلو خلال الساعات المقبلة.

وتُعد منطقة بيلبارا من أهم الأقاليم الاقتصادية في أستراليا، إذ تضم عدداً كبيراً من المناجم ومرافق الطاقة، وتعتمد عليها الأسواق العالمية في إمدادات خام الحديد، خصوصاً الصين واليابان. 

ويؤدي إغلاق الموانئ في هذه المنطقة عادة إلى تعطل مؤقت في سلاسل التوريد العالمية وارتفاع المخاوف بشأن الصادرات الأسترالية من الموارد الطبيعية.

وتشهد السواحل الشمالية والغربية لأستراليا سنوياً أعاصير مدارية خلال موسم الصيف، الذي يمتد من تشرين الثاني/ نوفمبر إلى نيسان/ أبريل وغالباً ما تدفع السلطات إلى إخلاء المناطق الساحلية وتعليق الأنشطة الصناعية والبحرية كإجراء احترازي. 

وتؤكد الجهات الرسمية أن هذه التدابير تهدف إلى تقليل الخسائر البشرية والمادية مع تزايد شدة الظواهر الجوية المرتبطة بالتغير المناخي.
التعليقات (0)

خبر عاجل